3 căn mặt tiền hẻm gần đh y dược ô tô đậu trong nhà
3 CĂN NHÀ TRỆT LẦU XÂY MỚI 100 RẤT ĐẸP CÓ CHỖ ĐẬU Ô TÔ TRONG NHÀ FULL NỘI THẤT GẦN ĐH Y DƯỢC
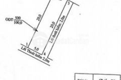
Diện tích: 4m x 20.8m = 83,2m2 ...DTSD: 168m2
Pháp lý: Sổ hồng, hoàn công
Lộ: 5m ô tô tới nhà
Hướng: Nam
Kết cấu: Sân đậu ô tô, 1 phòng khách, 3 phòng ngủ có 1 phòng ngủ tầng trệt, 1 phòng sinh hoạt chung, 3 toilet, sân sau, ban công thoáng mát
Giá bán: 4,68 tỷ
Liên hệ: 0939 424 486
Diện tích: 4m x 20.8m = 83,2m2 ...DTSD: 168m2
Pháp lý: Sổ hồng, hoàn công
Lộ: 5m ô tô tới nhà
Hướng: Nam
Kết cấu: Sân đậu ô tô, 1 phòng khách, 3 phòng ngủ có 1 phòng ngủ tầng trệt, 1 phòng sinh hoạt chung, 3 toilet, sân sau, ban công thoáng mát
Giá bán: 4,68 tỷ
Liên hệ: 0939 424 486
Đặc điểm
- Nhà trong hẻm
- 83m²
- N bếp
- Phường An Khánh, Quận Ninh Kiều, Cần Thơ
- Mặt tiền
Liên hệ
- Minh Trí
- 0939424486
Ngày 21/10/2025



