Bán đất giá đầu tư ngay ủy ban xã draysap huyện krong ana chỉ với 375 triệu
D742
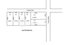
Bán Đất Giá Đầu Tư Ngay Ủy Ban Xã Draysap Huyện Krong Ana Chỉ Với 375 Triệu
Vị Trí :
Cách Đường Chính Tỉnh Lộ 2 1,7km
Cách Đường Thông Từ Tỉnh Lộ 2 Qua Ủy Ban Xã Draysap 80m
Cách Ủy Ban Draysap 2km
Diện Tích : 10x40
Thổ Cư : 60m2
Hiện Trạng :
Đất Trống Bằng Phẳng,Khu Dân Cư Thân Thiện,Lối Sống Văn Minh
Đường Hai Ô Tô Né Nhau Thoải Mái,Cam Kết Giá Rẻ Hơn Thị Trường
Thích Hợp Đầu Tư Sinh Lợi Hoặc Định Cư Lâu Dài
Giá : 375 Triệu
Phạm Gia Land 106 Y Wang
0986 34 4747 Mr Hoàng
Chuyên:
Mua Bán
Ký Gửi
Hợp Thức Hóa Giấy Tờ
Bán Đất Giá Đầu Tư Ngay Ủy Ban Xã Draysap Huyện Krong Ana Chỉ Với 375 Triệu
Vị Trí :
Cách Đường Chính Tỉnh Lộ 2 1,7km
Cách Đường Thông Từ Tỉnh Lộ 2 Qua Ủy Ban Xã Draysap 80m
Cách Ủy Ban Draysap 2km
Diện Tích : 10x40
Thổ Cư : 60m2
Hiện Trạng :
Đất Trống Bằng Phẳng,Khu Dân Cư Thân Thiện,Lối Sống Văn Minh
Đường Hai Ô Tô Né Nhau Thoải Mái,Cam Kết Giá Rẻ Hơn Thị Trường
Thích Hợp Đầu Tư Sinh Lợi Hoặc Định Cư Lâu Dài
Giá : 375 Triệu
Phạm Gia Land 106 Y Wang
0986 34 4747 Mr Hoàng
Chuyên:
Mua Bán
Ký Gửi
Hợp Thức Hóa Giấy Tờ
Đặc điểm
- Đất ở, thổ cư
- 400m² (10m x 40m)
- Tỉnh Lộ 2, Xã Dray Sap, Huyện Krông Ana, Đắk Lắk
- Đường nội bộ, đường rộng 6m
- Sổ hồng
Liên hệ
- Nguyễn Đức Mạnh Hoàng
- 0986344747
Ngày 20/12/2023



