Bán lô đất 2 mặt tiền đường lê thị hà 2000m2 tân xuân hóc môn làm kho xưởng giá đầu tư
SIÊU PHẨM ĐẤT MẶT TIỀN HIẾM CÓ TRUNG TÂM HÓC MÔN 2 MẶT TIỀN TRƯỚC SAU DIỆN TÍCH KHỦNG
Vị trí đắc địa Trung tâm hành chính Khu vực toàn biệt thự sân vườn VIP Tiện ích ngập tràn Cơ hội đầu tư sinh lời cực cao
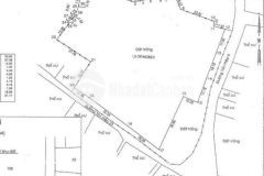
Diện tích: Ngang 25m x 87m = 2000m².
giá 83 tỷ
2 mặt tiền siêu đẹp:
Mặt trước đường Lê Thị Hà 16m, có vỉa hè rộng rãi.
Mặt sau đường thông 8m, thuận tiện di chuyển, vận chuyển hàng hóa.
Pháp lý: Sổ hồng riêng, chính chủ, công chứng ngay trong ngày.
Vị trí vàng Tiềm năng vô hạn:
Nằm ngay sát trung tâm thị trấn Hóc Môn, liền kề UBND, Công an Huyện, Văn phòng công chứng, Chợ Hóc Môn, ngân hàng, trường học...
Khu vực dân cư đông đúc, an ninh tốt, xung quanh toàn biệt thự, villa sân vườn cao cấp đẳng cấp sống thượng lưu.
Kết nối giao thông thuận tiện, chỉ vài phút ra Quốc lộ, Nguyễn Ảnh Thủ, Phan Văn Hớn...
Công năng khai thác đa dạng:
Phù hợp mở nhà xưởng, showroom, nhà hàng tiệc cưới, siêu thị mini, khu vui chơi trẻ em, toà nhà văn phòng, biệt thự nghỉ dưỡng,...
ANH CHỊ QUAN TÂM MUA ĐẦU TƯ LÀM KHO XƯỞNG GỌI TRỰC TIẾP CHO EM XEM ĐẤT Ạ
Vị trí đắc địa Trung tâm hành chính Khu vực toàn biệt thự sân vườn VIP Tiện ích ngập tràn Cơ hội đầu tư sinh lời cực cao
Diện tích: Ngang 25m x 87m = 2000m².
giá 83 tỷ
2 mặt tiền siêu đẹp:
Mặt trước đường Lê Thị Hà 16m, có vỉa hè rộng rãi.
Mặt sau đường thông 8m, thuận tiện di chuyển, vận chuyển hàng hóa.
Pháp lý: Sổ hồng riêng, chính chủ, công chứng ngay trong ngày.
Vị trí vàng Tiềm năng vô hạn:
Nằm ngay sát trung tâm thị trấn Hóc Môn, liền kề UBND, Công an Huyện, Văn phòng công chứng, Chợ Hóc Môn, ngân hàng, trường học...
Khu vực dân cư đông đúc, an ninh tốt, xung quanh toàn biệt thự, villa sân vườn cao cấp đẳng cấp sống thượng lưu.
Kết nối giao thông thuận tiện, chỉ vài phút ra Quốc lộ, Nguyễn Ảnh Thủ, Phan Văn Hớn...
Công năng khai thác đa dạng:
Phù hợp mở nhà xưởng, showroom, nhà hàng tiệc cưới, siêu thị mini, khu vui chơi trẻ em, toà nhà văn phòng, biệt thự nghỉ dưỡng,...
ANH CHỊ QUAN TÂM MUA ĐẦU TƯ LÀM KHO XƯỞNG GỌI TRỰC TIẾP CHO EM XEM ĐẤT Ạ
Đặc điểm
- Đất
- 2000m² (25m x 87m)
- Lê Thị Hà, Xã Xuân Thới Thượng, Huyện Hóc Môn, Hồ Chí Minh
- Mặt tiền, đường rộng 15m
- Đông
- Sổ đỏ
Liên hệ
- Hà Văn Hai
- 0769868062
Ngày 03/05/2025



