Bán nhà đường xe tải nguyễn thị thảnh hóc môn, 145m2, ngang 5.5m, chỉ 4 tỷ 300
BÁN NHÀ ĐƯỜNG XE TẢI NGUYỄN THỊ THẢNH HÓC MÔN, 145M2, NGANG 5.5M, CHỈ 4 TỶ 300
Mô tả
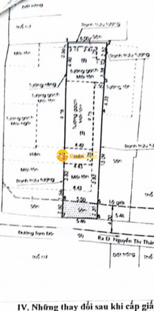
Vị trí: Đường xe tải tới nhà, 100m ra Nguyễn Thị Thảnh, Thới Tam Thôn Hóc Môn, gần Trần Quang Cơ, Nguyễn Ảnh Thủ giáp Quận 12.
Diện tích 5.5m 26m, nở hậu 6m.
Nhà cấp 4, 2PN, phòng khách, bếp rộng, sân để xe hơi, nhà cũ tiện xây mới, hay sửa sơ còn ở tốt
Khu vực dân cư sầm uất với nhiều tiện ích.
Pháp lý chuẩn, Sổ hồng riêng, full thổ cư.
LH Zalo 0967399045 A Luận BĐS SG
Mô tả
Vị trí: Đường xe tải tới nhà, 100m ra Nguyễn Thị Thảnh, Thới Tam Thôn Hóc Môn, gần Trần Quang Cơ, Nguyễn Ảnh Thủ giáp Quận 12.
Diện tích 5.5m 26m, nở hậu 6m.
Nhà cấp 4, 2PN, phòng khách, bếp rộng, sân để xe hơi, nhà cũ tiện xây mới, hay sửa sơ còn ở tốt
Khu vực dân cư sầm uất với nhiều tiện ích.
Pháp lý chuẩn, Sổ hồng riêng, full thổ cư.
LH Zalo 0967399045 A Luận BĐS SG
Đặc điểm
- Nhà trong hẻm
- 145m² (6m x 26m)
- N bếp
- Xã Thới Tam Thôn, Huyện Hóc Môn, Hồ Chí Minh
- Mặt tiền, đường rộng 6m
Liên hệ
- Phạm Văn Luận
- 0967399045
Ngày 19/11/2024



