Lô góc lai uyên, bàu bàng cặp trung tâm hành chính bàu bàng chỉ 1ty2xx
Vị trí lô góc nằm sát chợ Lai Uyên, mặt tiền đường nhựa lớn,
Cách quốc lộ 13 bán kính 500m di chuyển về các tiện ích đã có đầy đủ dân cư hiện hữu,
Phù hợp đầu tư tiềm năng lớn gần các khu công nghiệp của phía Bắc TP.HCM,
Sẵn số ký công chứng trong ngày, ngân hàng hỗ trợ sâu,
Gặp chính chủ còn thương lượng.
Cách quốc lộ 13 bán kính 500m di chuyển về các tiện ích đã có đầy đủ dân cư hiện hữu,
Phù hợp đầu tư tiềm năng lớn gần các khu công nghiệp của phía Bắc TP.HCM,
Sẵn số ký công chứng trong ngày, ngân hàng hỗ trợ sâu,
Gặp chính chủ còn thương lượng.
Đặc điểm
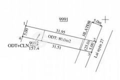
- Đất ở, thổ cư
- 200m² (10m x 50m)
- Xã Lai Uyên, Huyện Bàu Bàng, Bình Dương
- Mặt tiền, đường rộng 10m
- Sổ hồng
Liên hệ
- Hồng Tiện
- 0336479943
Ngày 07/07/2025



